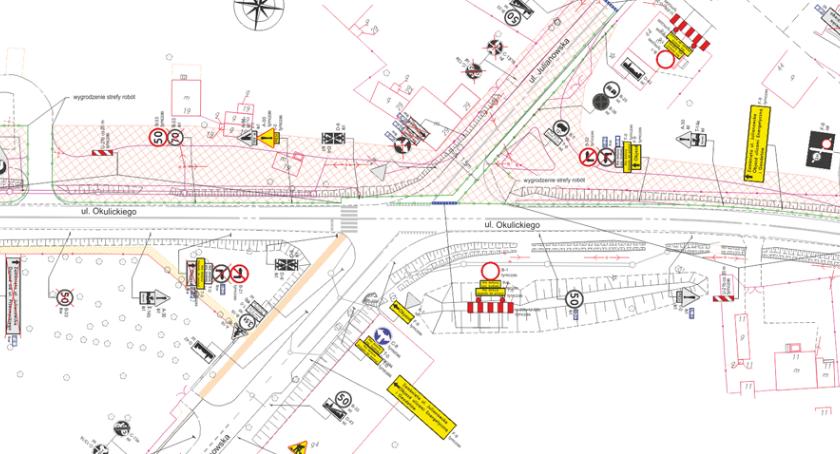
W związku z trwającym remontem drogi wojewódzkiej, firma SKANSKA S.A. poinformowała Urząd Miasta i Gminy Piaseczno, że w dniu 19 kwietnia 2018 r. o godz. 13:00 zostanie wprowadzona czasowa organizacja ruchu, na skrzyżowaniu DW 721 i ul. Julianowskiej.
Zamknięty zostanie północny wlot ul. Julianowskiej na to skrzyżowanie. Ruch z Konstancina-Jeziorny prosto ulicą Okulickiego, będzie nadal podtrzymany.
Czasowej likwidacji ulega pętla komunikacji publicznej przy cmentarzu Julianowskim. Autobusy 739 i L39 będą jeździły ul. Geodetów, Wilanowską i Kameralną, z krótkim postojem na pętli przy szkole w Józefosławiu. Zmiany w komunikacji, będą obowiązywać od samego rana 19 kwietnia do odwołania.
UMiG Piaseczno

Twoje zdanie jest ważne jednak nie może ranić innych osób lub grup.
A gdzie objazdy?
Już chyba wszystkie drogi nam pozamykali. Panie/Panowie remonty tak, ale z GŁOWĄ
Na jak długo została zamknięta Julianowska? Przecież jakieś plany są. Dlaczego nie ma komunikacji zastępczej? Przecież tam mieszkają ludzie!
Ktoś chyba nie ma wyobraźni... Okulickiego rozpieprzona, końca nie widać, równoległa - Geodetów - rozkopana, Julianowska teraz zablokowana, za chwilę dalsza część Geodetów i Wilanowska... Mam wrazenie, że planowanie inwestycji robi jakiś tępy idiota... bez zabezpieczenia objazdów, paralizowana jest cała wchodnia część miasta
Codziennie obserwuję modernizację ulicy Okulickiego. Harmonogram prac mysi być bardzo korzystny dla wykonawcy. Rano około siódmej jest pusto lub widać niewielu robotników. Przed siedemnastą podobnie. Najpierw zrobili jeden kawałek, gdy kończyli dopiero zaczęli drugi, teraz trzeci. W tym tempie to zejdzie im się jeszcze z trzy miesiące, jak nie lepiej. Sądzę, że dałoby się to robić równolegle i co za tym idzie szybciej. Podobno te prace mają docelowo poprawić bezpieczeństwo. Jak na razie to je znacznie zmniejszyły. Miałem nadzieję, że to miarę szybko skończą i puszczą ruch nową częścią, ale widzę że nie ma na co liczyć. W innym miejscu przez które przejeżdżam kilkaset metrów asfaltu położyli w ciągu nocy, oczywiście droga już istniała. Nie wierzę, w to, że budowa tej drogi musi trwać tak długo.
A gdzie objazdy?
Już chyba wszystkie drogi nam pozamykali. Panie/Panowie remonty tak, ale z GŁOWĄ
Na jak długo została zamknięta Julianowska? Przecież jakieś plany są. Dlaczego nie ma komunikacji zastępczej? Przecież tam mieszkają ludzie!