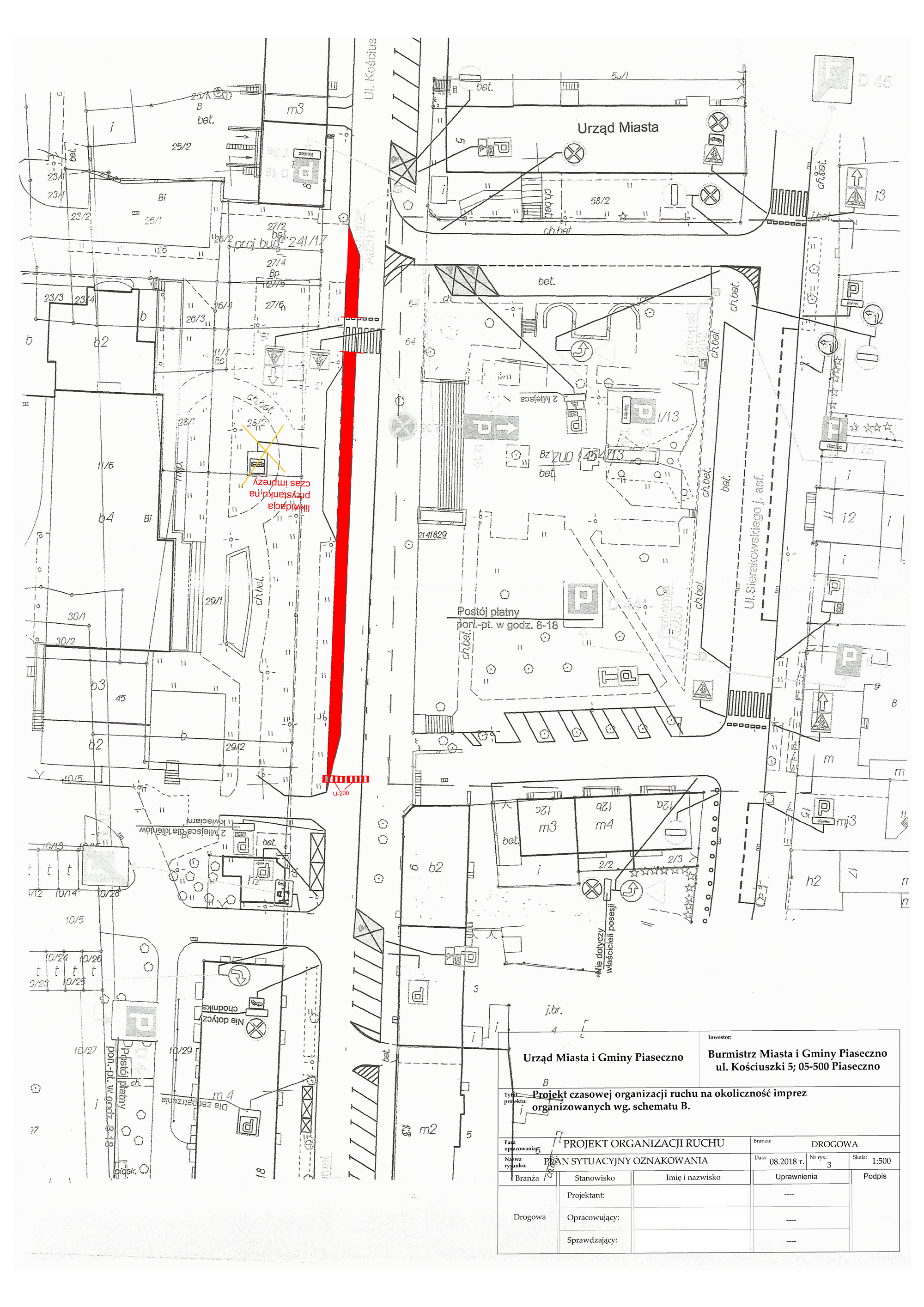
W związku z organizacją imprez na Placu Piłsudskiego w dniu 14 i 15 września 2019 r. planowane jest zamkniecie ulicy Puławskiej i Kościuszki, od wczesnych godzin porannych 14 września, do późnych godzin wieczornych w dniu 15 września 2019 roku.
Ruch z ul. Puławskiej poprowadzony zostanie ulicą Chyliczkowską do DK79 oraz ul. Jana Pawła II do Wojska Polskiego. Na czas zamknięcia zostaną wyłączone z ruchu przystanki autobusowe: przy Sądzie oraz na ul. Sienkiewicza. Komunikacja miejska kursowała będzie objazdem przez ul. Wojska Polskiego. W trakcie zamknięcia wyłączone z ruchu zostają miejsca postojowe wzdłuż ul. Kościuszki, pod kościołem oraz w łączniku ul. Kościelnej z Kościuszki.



Twoje zdanie jest ważne jednak nie może ranić innych osób lub grup.
Komentarze opinie